Page image
Page image

63

A.—i

Return of Armed Land Forces (exclusive of Regular Troops) in Her Majesty's Colonial Possessions— continued.

H. E. Readeb, sth March, 1880. Under-Secretary for Defence.

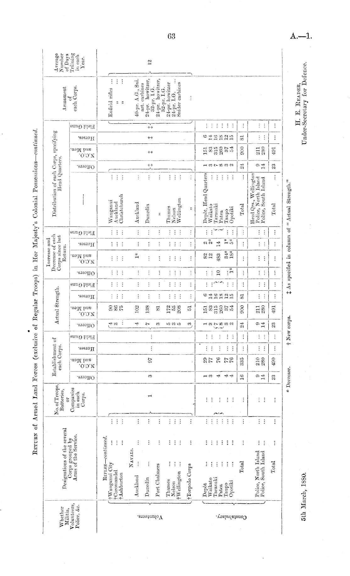
Whether Militia, Volunteers, Police, &c. No. of Troops, Batteries, Establishment of each Corps. Actual Strength. Increase Decrease i Corps sin Retui e and of each ice last rn. Distribution of each Corps, specifying Head Quarters. Average Number of Days Training in each Year. Designations of the several Corps grouped by Arms of the Service. or Armament of each Corps. Companies in each. Corps. CD o a 11 to CD O CO •n CD o H O a CD CD o a CD qS 11 CO CD CO O to id CD o CD to CD CO O CD CD CD A^ . Rules — continued. fWanganui City fCoromandel tAshburton ; f4 3 90 86 75 Wanganui Auckland Christcburcb Enfield rifles ... jj ... Navals. | 102 l* Auckland 40-pr. A.G-., Sni. art. carbines 24-pr. howitzer, 32-pr. I.G. 24-pr. howitzer, 32-pr. I.G-. 24-pr. howitzer 24-pr. I.G-. ... Snider carbines Auckland Duuedin Port Chalmers Thames Nelson f Wellington ... 07 4 i 3 5 3 5 138 81 172 55 208 ... I l i 1... i Dunedin ,, Thames Nelson Wellington !-t j t + 12 _ ... I i I ... i ... I l ... ; fTorpedo Corps 51 ... «_ L\ |— i — I i ! I i i—; OB o Depot Waikato Taranaki Patea Taupo Opotiki L ■- ] - ... 1 3 4 4 4 29 77 76 77 76 ... I ! ... i 1 (7 3 2 151 83 315 260 37 54 6 14 16 18 12 15 ... 10 j_# 82 12 483 34* 18* 2 2* 14 1* "V Depot, Head Quarters Waikato Taranaki Patea Taupo Opotiki i 3 7 8 3 2 151 83 315 260 37 54 6 14 16 18 12 15 — 335 t i — I I I l ! :— — Total ... 16 ... 24 900 81 ... I i '" ... ... I I Total 24 900 81 '" I ! H ! i , I i i Head Qrs., Wellington Police, North Island Police, South Island I I ! I ! s Police, North Island .,. Police, South Island ... 9 14 210 280 9 14 211 280 ... , 9 14 211 280 ... ... ... ... I i ... Total ! ! ! ! 491 i I I I 23 491 i 23 I 490 j ... ... 23 ... -. -. Total ... ... * Decrease. t New eorj is. t As si lecified in column of " Actual Stren; rth."

Log in or create a Papers Past website account

Use your Papers Past website account to correct newspaper text.

By creating and using this account you agree to our terms of use.

Log in with RealMe®

If you’ve used a RealMe login somewhere else, you can use it here too. If you don’t already have a username and password, just click Log in and you can choose to create one.


Log in again to continue your work

Your session has expired.

Log in again with RealMe®


Alert