Page image
Page image

H.—l.

APPENDIX IV.—SUMMARY OF VALUATIONS COMPLETED DURING THE YEAR 1908.—TABLE A—continued. [N.B.— These figures refer to Sick and Funeral Funds only, and do not include Management and other Funds.]

21

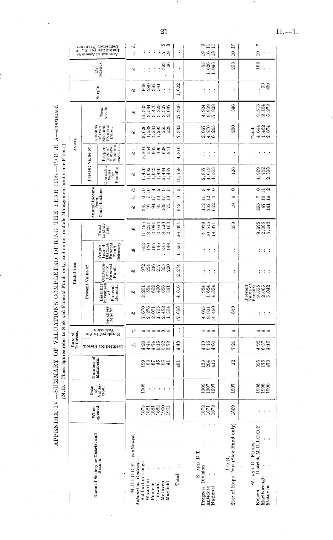
Bate of Interest. I,iabilities. Assets. Name of Society or Distriot and Branch. When opened. Date ol Valuation. Number of Members. 3 a; u a a Sickness re spect tion tQ Distrlct Benefit. w ,,^.,. o i Funeral Funeral St! »-* j≤^ Present Value of Annual Income Present Value of Amount of Own Sick and Fuueral Fund. Surplus. Deficiency. lip Total Liabilities. Contributions. Proportion of Funeral Benefits reassured. Total Assets. Contributions for Benefits. M.U.I.O.O.F.— continued. Ashburton District — Ashburton Lodge .. .. j Waterton „ .. Pioneer „ .. Tinwald Methven Mayfield 1873 1881 1881 1882 1900 1901 1873 1881 1881 1882 1900 1901 1906 199 53 57 45 56 41 % ; 4-28 I 4-44 i 4-74 j 5-15 0-22 3-70 % 1 4 4 3 4 £ 7,670 2,276 2,071 1,795 2,482 1,394 £ 2,201 554 602 490 628 341 £ 972 254 246 217 365 220 £ 652 170 165 146 . 245 148 £ 11,495 3,254 3,084 2,648 3,720 2,103 £ s. d. 385 0 10 97 7 10 94 17 4 85 18 2 109 17 0 75 19 0 £ 6,476 1,692 1.643 1,446 2,434 1,467 £ 2,201 554 602 490 i 628; 341 ! £ 3,626 1,288 1,231 1,293 265 229 £ 12,303 3,534 3,476 3,229 3,327 2,037 £ 808 280 392 581 £ b. d. '393 66 17 6 19 3 Total 451 4-48 17,688 4,816 1,602 2,274 1,526 26,304 849 0 2 15,158 4,816 7,932 27,906 I S. and D.T. Progress Division Antidote National 1872 1871 1872 1872 1871 1872 1906 1907 1907 128 204 416 4-13 6-16 4-89 1 4 4 4,055 8,891 14,480 924 1,624 4,394 4,979 10,515 18,874 172 11 9 282 12 4 652 4 0 2,857 4,619 11,563 2,067 ' 4,270 6,265 4,924 8,889 17,828 55 1,626 1,046 19 ! 16 i: 18 l: I.O.R. Star of Hope Tent (Sick Fund only) W. and O. Funds. Nelson District, M.U.I.O.O.F. Marlborough Motueka 1869 1907 12 7-20 4 639 Present Value of Benefits. 9,695 2,065 5,042 639 19 4 0 126 ! 220 346 293 10 1( 1905 1906 1906 825 175 473 4'92 6-37 4-16 4 4 4 9,695 2,065 5,042 295 7 0 47 18 11 141 14 2 4,869 702 2,398 Fund. 4,644 1,462 2,874 9,513 2,164 5,272 99 230 182 19

Log in or create a Papers Past website account

Use your Papers Past website account to correct newspaper text.

By creating and using this account you agree to our terms of use.

Log in with RealMe®

If you’ve used a RealMe login somewhere else, you can use it here too. If you don’t already have a username and password, just click Log in and you can choose to create one.


Log in again to continue your work

Your session has expired.

Log in again with RealMe®


Alert