Page image
Page image

33

8.—6

Table No. 3 — continued. The PUBLIC DEBT of NEW ZEALAND on 31st March, 1912— continued.

s—B. 6.

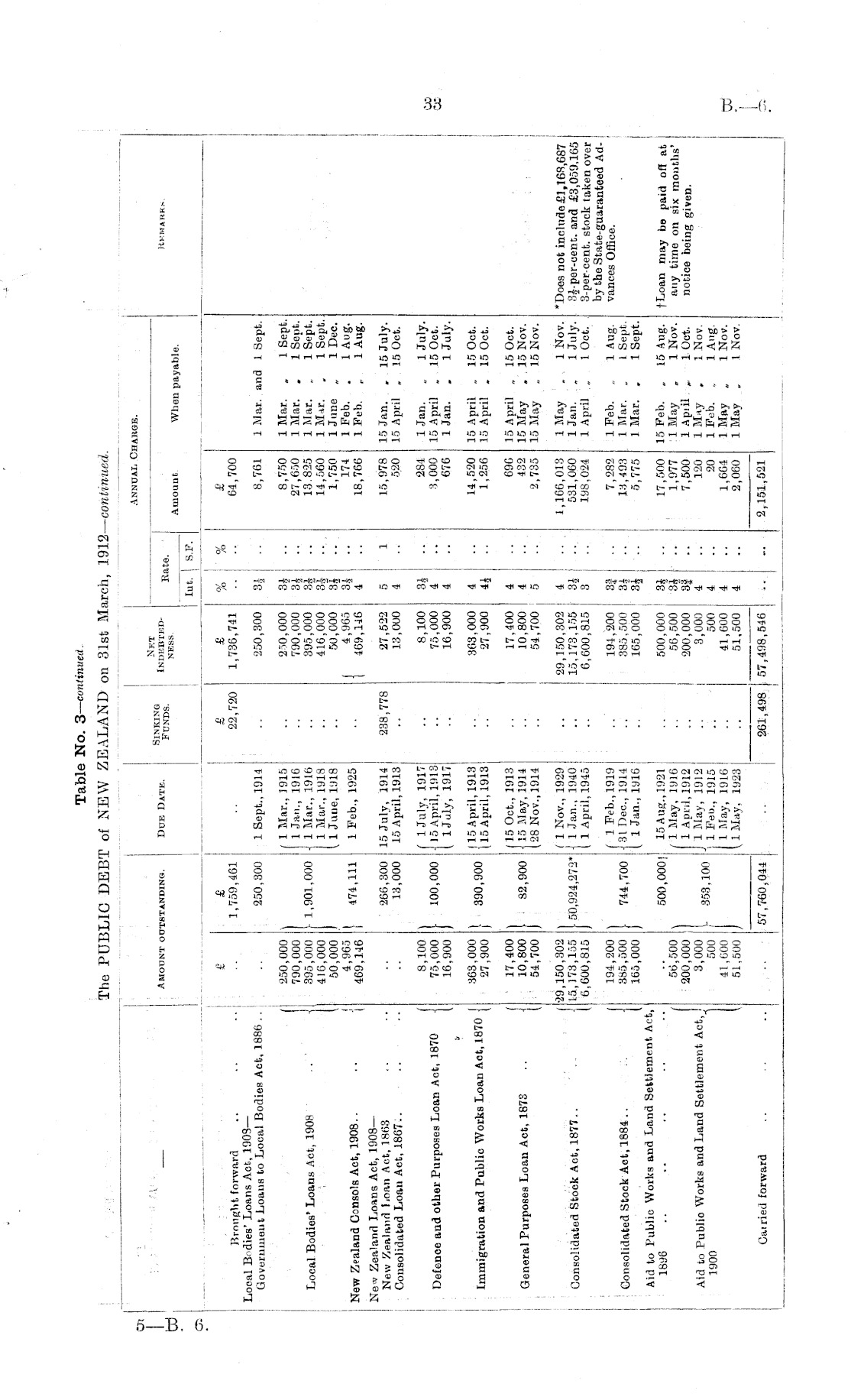
I Annual Chakge. . . Amount outstanding. Due Datk. Sinking Funds. Bate. Int. 1 S.F. Amount. Rkiwahk*. INDEBTEDNKSS. When payable. Brought forward .. .. .-| Looal Bodies' Loans Aot, 1903— Government Loans to Looal Bodies Aot, 1886 .. i £ £ 1,759,461 22,720 £ 1,736,741 % % £ 64,700 250,300 1 Sept., 1914 250,300 3| 8,761 1 Mar. and 1 Sept. Local Bodies' Loans Act, 1908 New Zealand Consols Act, 1908.. 250,000 790,000 395,000 416,000 50,000 4,965 469,146 ■ 1,901,000 1 Mar., ]915 1 Jan., 1916 \ 1 Mar., 1916 1 Mar., 1918 { 1 June, 1U18 250,000 790,000 395,000 416,000 50,000 I 4,965 I 469,116 34 3* 4 .. 8,750 27,650 13.825 14,560 1,750 174 18,766 1 Mar. „ 1 Sept. 1 Mar. . 1 Sept. 1 Mar. ,. 1 Sept. 1 M*r. . 1 Sept. 1 June „ 1 Dec. 1 Feb. . 1 Aug. 1 Feb. „ 1 Aug. I 474,111 1 Feb., 1925 i New Zealand Loans Act, 1908— New Zealand Iioan Act, 1803 Consolidated Loan Act, 1867:. - 266,300 13,000 15 July, 1914 15 April, 1913 238,778 27,522 13,000 I 1 15,978 5.20 15 Jan. . 15 July. 15 April . 15 Oct. - - •• Defence and other Purposes Loan Act, 1870 j 8,100 75,000 16,900 i 100,000 ( Uuly, 1917 \ 15 April, 1913 [ Uuly, 1917 8,100 75,000 16,900 3i 4 4 284 3,000 676 1 Jan. . 1 July. 15 April „ 15 Oct. 1 Jan. . 1 July. fr 14,520 1,256 Immigration and Public Works Loan Act, 1870 | 363,000 27,900 I 390,900 115 April, 1913 115 April, 1913 363,000 27,900 4 15 April . 15 Oct. 15 April » 15 Oct. General Purposes Loan Aot, 187S .. j 17,400 10,800 54,700 III 82,900 (15 Oct., 1913 \ 15 May, 1914 (28 Nov., 1914 .. 17,400 10,800 54,700 i 5 ! I 696 432 2,735 15 April . 15 Oct. 15 May . 15 Nov. 15 May . 15 Nov. Consolidated Stock Act, 1877 •29,150,302 L5,173, 155 6,600,815 [ 50,924,272* I 1 Nov., 1929 -j 1 Jan., 1940 ( 1 April, 1945 ■• 29,150,302 15,173,155 6,600,815 4 3 I 1,166,013 531,060 198,024 1 May . , 1 Nov. 1 Jan. „ 1 July. 1 April .. 1 Oct. 'Does not include £1,163,687 SJ-per-cent. and £3,059,165 3-percent, stock taken over by the State-guaranteed Advances Office. ■• i Consolidated Stock Act, 1884.. j 1 Aid to Public Works and Land Settlement Act, 1896 Aid to Publio Works and Land Settlement Act, J 1900 194,200 385,500 165,000 1 744,700 ( 1 Feb., 1919 \ 31 Dec, 1914 ( 1 Jan., 1916 194,200 385,500 165,000 3J I I 7,282 13,493 5,775 1 Feb. „ 1 Aug. 1 Mar. . 1 Sept. 1 Mar. , 1 Sept. .. tLoan may be paid off at any time on six mouths' notice being given. 56,500 200,000 3,000 500 41,000 51,500 500,0001 \- 353,100 15 Aug., 1921 / 1 May, 1916 1 April, 1912 j 1 May, 1912 j 1 Feu., 1915 1 May, 1916 \lMa,y, 1923 " 500,000 56,500 200,000 3,000 500 41,600 51,500 34 34 3S 4 4 4 4 17,500 1,977 7,500 120 20 1,6G4 2,060 2,151,521 15 Feb. „ 15 Aug. 1 May , 1 Nov. 1 Apiil „ 1 Oct. 1 M*y , 1 Nov. 1 Feb. „ 1 Aug. 1 May „ 1 Nov. 1 May . 1 Nov. j •■ ' Carried forward 57,760,014 I 261,498 57,498,546 r .■■.•■■• :

Log in or create a Papers Past website account

Use your Papers Past website account to correct newspaper text.

By creating and using this account you agree to our terms of use.

Log in with RealMe®

If you’ve used a RealMe login somewhere else, you can use it here too. If you don’t already have a username and password, just click Log in and you can choose to create one.


Log in again to continue your work

Your session has expired.

Log in again with RealMe®


Alert