103
H.—l4
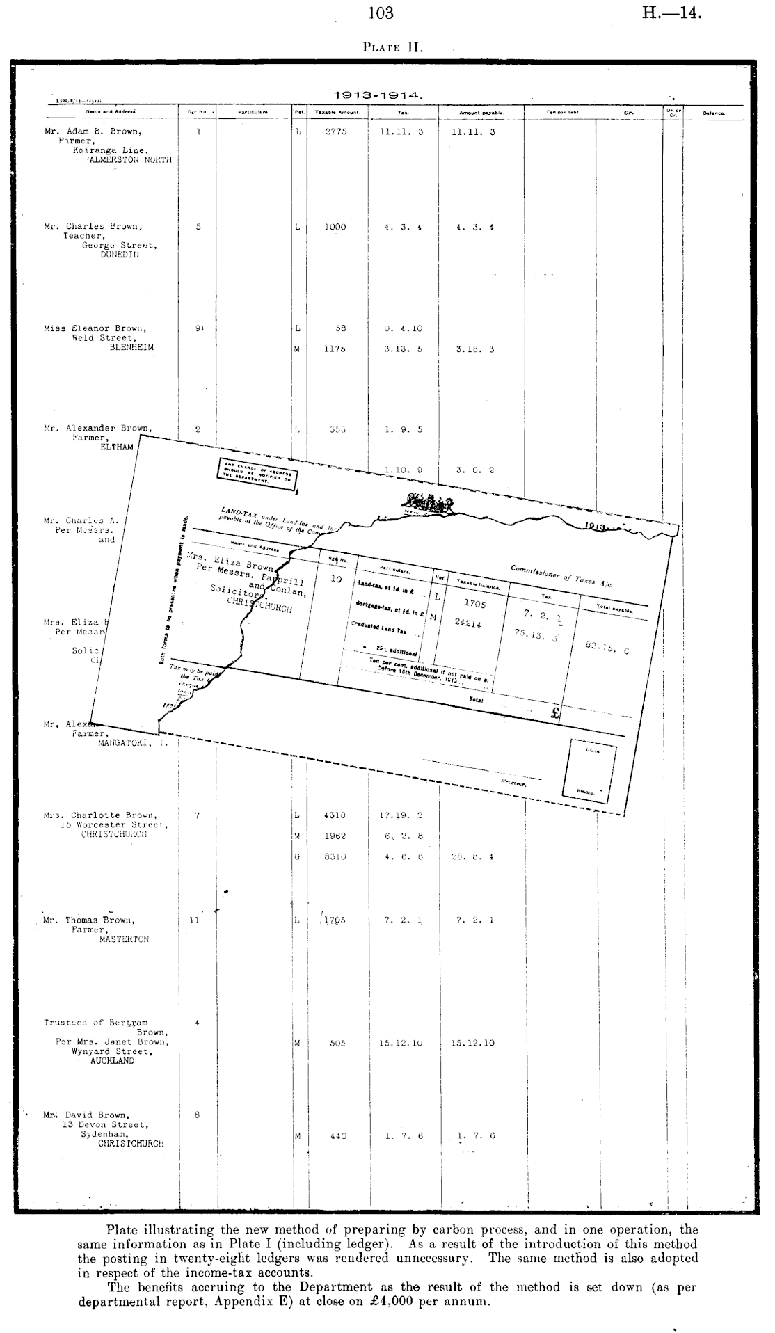
Plate II.
Plate illustrating the new method of preparing by carbon process, and in one operation, the same information as in Plate I (including ledger). As a result of the introduction of this method the posting in twenty-eight ledgers was rendered unnecessary. The same method is also adopted in respect of the income-tax accounts. The benefits accruing to the Department as the result of the method is set doxvn (as per departmental report, Appendix E) at close on £4,000 per annum.
Use your Papers Past website account to correct newspaper text.
By creating and using this account you agree to our terms of use.
Your session has expired.