Page image
Page image

H.—l4,

70

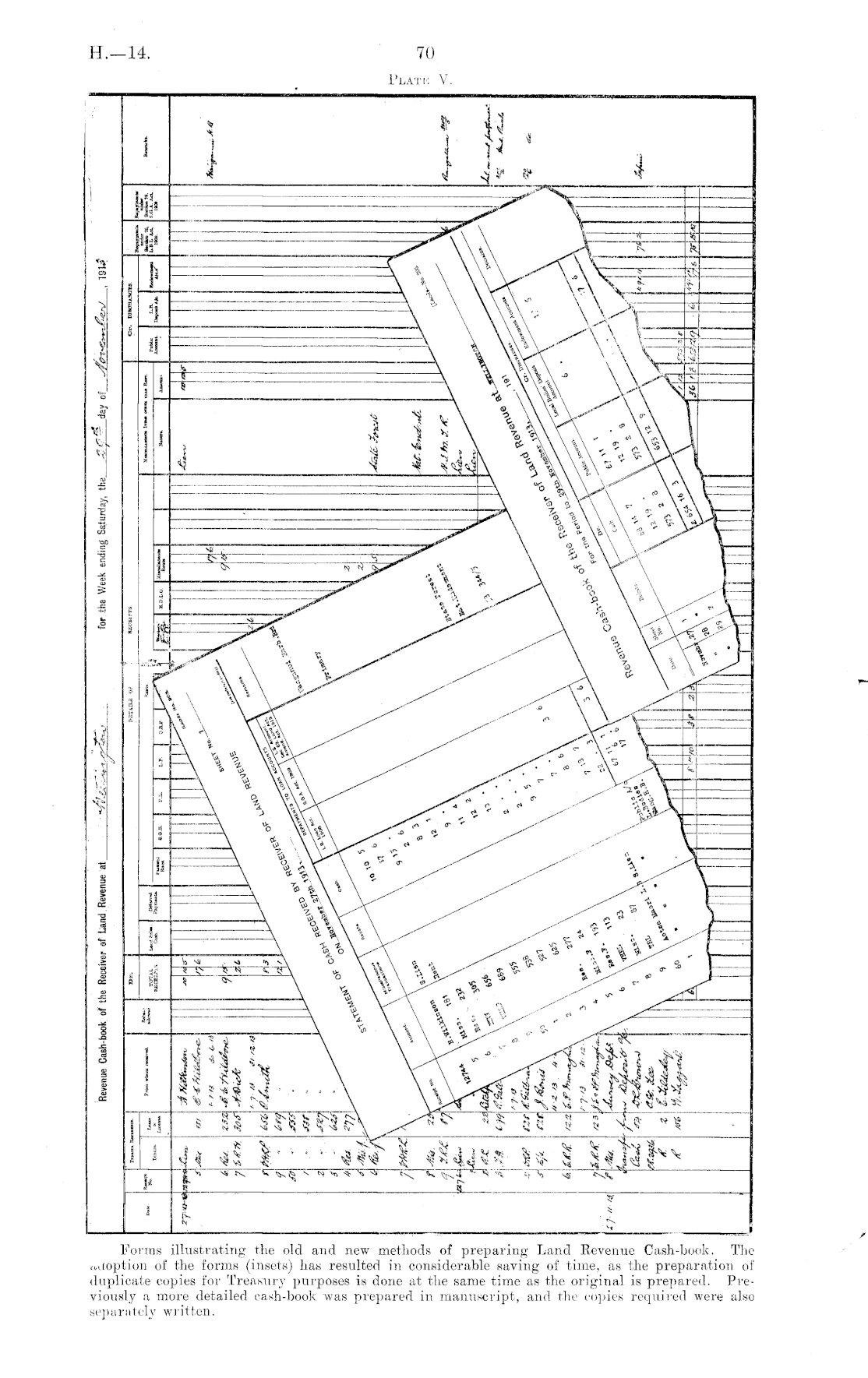
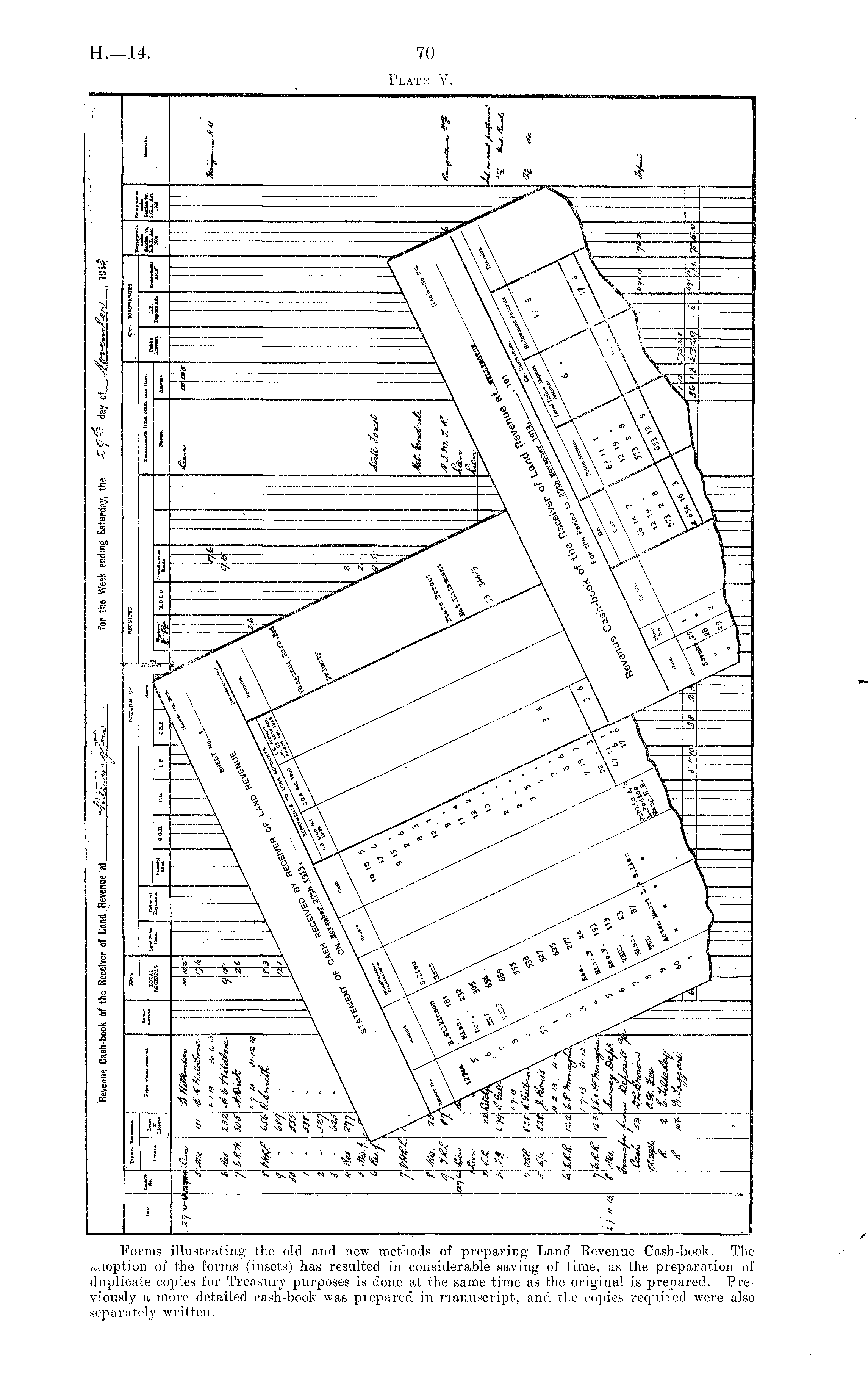
Forms illustrating the old and new methods of preparing Land Revenue Cash-book. The adoption of the forms (insets) has resulted in considerable saving of time, as the preparation of duplicate copies for Treasury purposes is done at the same time as the original is prepared. Previously a more detailed cash-book was prepared in manuscript, and the copies required were also separately written.

Plate V.

Log in or create a Papers Past website account

Use your Papers Past website account to correct newspaper text.

By creating and using this account you agree to our terms of use.

Log in with RealMe®

If you’ve used a RealMe login somewhere else, you can use it here too. If you don’t already have a username and password, just click Log in and you can choose to create one.


Log in again to continue your work

Your session has expired.

Log in again with RealMe®


Alert