Page image
Page image
Page image
Page image
Page image
Page image
Page image
Page image

H.—3

1937. NEW ZEALAND.

LAND TRANSFER AND DEEDS REGISTRATION. ANNUAL REPORT OF DEPARTMENT, 1936-37.

Presented to both Houses of the General Assembly by Command of His Excellency.

Head Office, Stamp Duties Office, Wellington, 31st March, 1937. The Hon. the Minister op Stamp Duties, Wellington. I have the honour to submit the following report on the working of the Land Transfer and Deeds Registration Department for the year ended the 31st March, 1937:. The returns appended show— A.—The business transacted under the Land Transfer Act. B. —The fees received thereunder, including the fees received on account of Crown grants. C.—The mortgages and discharge of mortgages, and the amount remaining secured by mortgage under the said Act on the 31st March, 1937. D. —The arrears existing at the various Land Transfer Offices at the close of business on the same date. E. —The number of deeds received for registration and the number remaining unrecorded on the 31st March last, also the fees received in the Deeds Registration Offices. Business transacted. —Registration business has shown a substantial increase in the number of instruments registered and the amount of fees received during the year. Compulsory Registration. —The work of bringing under the provisions of the Land Transfer Act titles not previously subject to those provisions has been completed in all registries excepting those of the Auckland and the Otago Land Registration Districts. In both these districts steady progress is being made, but an accurate estimate cannot yet be formed as to when finality will be reached. The Otago district should be completed within a year or two, but the Auckland district will take longer. The following table shows the amount of registration business under the Land Transfer and the Deeds Registration Acts transacted during the last five years : —

Fees under Compulsory Registration Act, 1924 —Paid for year ended 31st March, 1937 ; £4,456 ; outstanding, £30,512. P. G. Peaece, Secretary for Lands and Deeds.

Year ended 31st March, 1933. 1934. 1935. 1936. 1937. Instruments .. .. .. .. 81,905 76,355 83,117 100,275 118,301 Searches (Land Transfer Act only) .. 25,471 24,170 28,268 53,203 75,285 Fees, excluding fees under Compulsory £36,700 £35,240 £40,962 £50,547 £59,396 Registration Act, 1924-

H.—3.

A.-Statement of Business transacted under the Land Transfer Act during the Year ended 31st March, 1937.

2

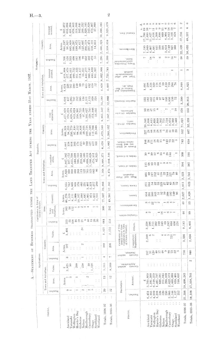
—— — Certificates in Lieu of Transfers. Mortgages. Applications. Crown Grants. ; r Town and Suburban. Country. Town and Suburban. Country Town and Suburban. Country. - • . j ; 1 Area Value J Area. Value. | 'and" I Country. f i Area, j C °™T % Area ' dderaSon. j 1 — • j | g § a Suburban. | 5 11 ê ■ I fc 15 5 „ L_ ' — — — ? j j 1 a Ap rp c £ Acres. £ I Acres. £ Acres. £ Acres. £ j | Acres. Acres. I cr ®®' „ 9 004 •> 477 979 3 694 1,624 2,419,868 2,706 644,247 3,162,072 Auckland .. .. 9 7 3.825 3 107 1,401 353 103 40,2 6 6,055 j 2,823 2,947,502 , 2,801 400,324 2,477,979 653,694 Taranaki .. ..1 3 90 •• •• «'ill 869 i 990 2 415 768 954 230,779 1,828,978 3,285 767 2,304,011 1,333 483,858 2,491,208 Wellington ■ : 1( * 1{ ® 8,111 3,869 890 2,415,7» g^m m , m 4O8 166,267 976,803 Hawke's Bay ..1 1 200 .. •• '6 1 .>7« I ->(j3 166 135 174 98,252 358,301 252 150 161,423 161 199,973 514,606 Gisborne 0 " j S I TqbI 465 113 218 943 215 39 856 149,725 385 89 214,157 196 54,617 102,641 Nelson .. -.2 1 f 250 1 2 20 21 2 1,984 465 113 .18,9« 90 122>607 209,232 Marlborough .. ■■ I 9 J •• | ' 7 'obi 3 401 765 1 698 513 760 200,716 1,395,027 2,31] 615 1,449,277 832 266,518 1,320,105 Canterbury .. 2 { 1 30 .. j ■ ■ • • fo 4 7 '2?! o'321 523 1 160 628 527 161 548 539 745 2,113 432 980,141 502 237,474 543,658 Otago .. .. 5 J LI,120 .. ■■ 19 •• f* 2,321 o23 I,lb0,b28 > 938 450 490,830 479 159,191 474,467 Southland % I }'«* J '^ 7 82! 925 101 224 52 101,397 55 14,651 37,999 Westland .. .... .. ■ • ! • ■ ■ • • • '" ' Totals 1936—37 10" 109~ 1,421 664 300 j 77,997 19,884 7.168 9,988,371 6,470 1,473,548 8,865,542 14,580 4,858 8.932,966 7,295 2,446,324 10,486,485 1935-36 12 7 ~ T 6,174 7,604,146 5,883 1,393,532 | 7,987,245 12,080 4.601 7.731,745 6,599,2,558,654 9,325,478 ' I i I 1 ' ! ' . , ' fe = ;£ I —' i ® • — * £ a S is -S .£0 9 s Certificates of Title « 3 -g § 3 g g „• ■? « £ "X «4$ €§ „• Discharges. .s issued (other than §3 o » P-t 2 3 ■«jjPh'C s £>'*>' S'S • S +■» *i 2 ® |g § Certificates in Lieu Eg S 5 8 Z-aS ê ° ■ S 1 S '§££ % S« | £ 1 §, of Crown Grants). ? g $ ® <5 c ©« g M * i ® « «g]§ § ~ "nietript J? 2J- M «8 53 ° S3 ® O 2 56 2 S "=< ® i3."t3co_lC S f 5 District. • — a -2 • c x t« 2 .2 cs g» -g 33 o£? 9 1 Amou,lt !- 1« sssssss. ~ II I 3 I I 8 I i ! fio s r r! I r* r ft s s Is Q O I L__ 7— " • Auckland .. 6,454 5,760,669 .. 257 2,590 3,338 8 3 554 271 805 115 30 184 227 39,581 o3 533 1,691 .. | JQ Q Taranaki .. 1,165 1,101,360 .. 31 6 296 2 5 201 184 80 68 8 442 lg 4>407 ? () Wellington .. 4,909 6,148,259 .. 120 2 1,715 .. 22 380 54 217 83 175 329 .. 2 1,481 2,916 11 0 Hawke's Bay .. 1,208 1,461,797 .. 40 .. 392 2 143 22 252 oO 12 5« u8 .. 441 x> 3oo 0 0 Gisborne .. 526 636,381 .. 17 •• 190 i | „ „„„ ,, 35 j5 16 1,102 .. 97 178 . . 6 568 1,688 9 6 Nelson .. 520 211,045 .. 48 4 343 18 .. 52 223 lib 1 35 10 4V 99 .. .. 391 669 15 1 Marlborough .. 236 299,960 .. 9 1 69 1 1 10 // zz _ 56 g 2 3,854 8,904 6 0 Canterbury .. 2,905 2,422,573 .. 88 5 1,242 6 3 208 42 244 8 -8 143 i g6 710 .. 7 2 , 14 9 5,843 18 0 Otago.. .. 2,144 1,460,099 .. 73 721 834 7 4 19- 45 227 , 150 294 1 14 627 3,101 19 5 s w:llnd d :: 1 .. 7 « • " S :: i 5 23 i:«9 878 7 !L Totals 1936-37 21,396 19.490.M~7 9,145 44 49 2,027 1,011 2,123 394 300 743 552 71,621 3,390 6,048 57.2 16 3 2 Totals, 1935-36 2 840 99~ 53 1,826 623 1,741 367 195 618 467 32,133 155 20,915 5,821 3 59 16,035 | 48,257 6 6

H.—3.

B. —Return of Fees received under the Land Transfer Act for the Year ended the 31st March, 1937.

C. —Return showing the Total Amount of Money secured by Mortgage under the Land Transfer Act on the 31st March, 1937.

Return showing Number and Amount of Mortgages under Land Transfer and Deeds Registry released in each District from Ist April, 1936, to 31st March, 1937. District. Number. Amount. Auckland .. .. .. .. .. 6,777 6,011,964 Taranaki .. .. .. .. .. 1,165 1,101,360 Wellington .. .. .. .. .. 4,909 5,148,259 Hawke's Bay .. .. ~ .. .. 1,208 1,461,797 Gisborne .. .. .. .. .. 526 636,381 Nelson .. .. .. .. 524 213,905 •; .. " Maryborough .. .. .. • .. .. 236 299,960 Canterbury .. .. ... .. .. 2,905 2,422,573 ; .. Otago .. .. .. .. .. .. 2,252 1,530,386 Southland .. .. .. .... 1,117 839,405 Westland ■ .. .. .. .. .. 212 148,695 Totals .. .. .. .. 21,831 19,814,685

3

District. ! General Fees. - p q°™P«W Kegistration Jb ees. £ s. d. £ s. d. Auckland .. .. .. 17,794 19 8 2,013 15 0 Taranaki .. .. .. 2,690 10 0 78 15 0 Wellington .. .. .. 11,427 7 0 200 0 0 Hawke's Bay .. .. .. 2,916 11 0 140 0 0 Gisborne .. .. .. 1,300 0 0 8 15 0 Nelson .. .. .. 1,688 9 6 123 15 0 Marlborough . . . . .. 669 15 1 55 0 0 Canterbury .. .. .. 8,904 6 0 97 10 0 Otago .. .. .. 5,843 18 0 866 5 0 Southland .. .. .. 3,101 19 5 66 5 0 Westland .. .. .. 878 7 6 6 5 0 Totals .. .. .. 57,216 3 2 4,456 5 0 Corresponding period, 1935-36 .. 48,257 6 6 3,993 15 0

Amount remaining Amount secured by Amount of Amount remaining District secured by Mortgage during Mortgage paid secured by Mortgage on the the Year ended off during the Mortgage on the 31st March, 1936. 31st March, 1937. same Period. 31st March, 1937. £ £ £ £ Auckland.. .. 76,868,832 5,581,940 5,760,669 76,690,103 Taratiaki .. .. 21,016,729 931.573 1.101,360 20,846,942 Wellington .. 70,854,306 4,795,219 5,148,259 70,501,266 Hawke'sBay .. 22,744,895 1,457.535 1,461,797 22,740,633 Gisborne.. .. 9,931,873 676,029 636,381 9,971,521 Nelson .. .. 4,274,876 316,798 211,045 4,380,629 Marlborough .. 4,567,503 262,483 299,960 4,530,026 Canterbury .. 52,933,562 2,769,382 2,422,573 53,280,371 Otago .. .. 17,931,492 1,523,799 1,460,099 17,995,192 Southland .. 13,937,137 965,297 839,405 14,063,029 Westland .. 1,477,036 139,396 148,695 1,467,737 Totals .. 296,538,241 19,419,451 19,490,243 296,467,449

H—3.

D.-Return showing Arrears in the Land Transfer Department on the 31st March, 1937.

Other Instruments unrecorded. District. Transfers. Mortgages. Miscellaneous. Auckland .. .. .. .. .... Taranaki .. .. .. . . .. .. 1 1 13 Wellington 9 6 37 Hawke's Bay .. .. .. .. .. 15 55 11 Gisborne .." .. .. .. .. ..4 2 5 Nelson .. ■'■.. .. :.. .. -.12 10 30 Maryborough .. .. .... „ •• .... Canterbury .. .. .. .. -.21 15 75 Otago 2 4 13 Southland .. .. .. .. -.13 14 23 Westland .. .. .. .. .. .... Totals .. '-■'. .. ..77 107 207

E. —Return showing the Number of Deeds remaining unregistered on the 31st March, 1936; the Number received for Registration and the Number registered during the Year ended 31st March, 1937; also the Number remaining on that Date, and the Amount of Fees collected during the same Period.

Approxtmale Cost of Paper. —Preparation, not given ; printing (459 copies), £7.

By Authority : G. H. Loney, Government Printer, Wellington.—l 937.

Price 3d.]

4

D. —Return showing Arrears in the Land Transfer Department on the 31st March, 1937» Applications Applications Applications Unregistered Unregistered Applicationsawaiting detained ,. ,i Instruments Instruments Certificates received „. , . . Compliance for ! m ®^ 10 awaiting detained of previous to District. with Examination j ■ Vh P Compliance in the Title due but Current Requisi- in the M th with Survey not issued. Month not tions. Survey Office. and °" t y et Requisitions. Office. yet passed. passed. . - Auckland .. , 12 .. 2 108 126 137 Taranaki ..!.. .. .. 3 3 3 Wellington .. i .. .. 73 151 88 Hawke's Bay .. \ .. .. 44 12 20 Gisborne .. i 1 .. .. 1 •• 1 Nelson ..:'.. .. 1 16 .. 8 Marlborough .. .. .. .. 6 .. 6 Canterbury .. 1 .. .. 44 5 9 1 Otago 1 .. .. 27 1 31 Southland .... .. .. 9 .. 36 Westland .. ! .. .. ... 18 23 21 : I I Totals .. j 15 .. 3 349 321 360 1 j j ; , ! I Other Instruments unrecorded. District. Transfers. Mortgages. Miscellaneous. Auckland .. .. .. .. .... Taranaki .. .. .. . . .. .. 1 1 13 Wellington .. .. ..9 6 37 Hawke's Bay .. .. .. .. ..15 55 11 Gisborne .." .. .. .. .. .. 4 2 5 Nelson .. .. .. ;.. .. ..12 10 30 Marlborough .. .. ... ., Canterbury .. .. .. .. -.21 15 75 Otago .. .. .. .. .. -.2 4 13 Southland 13 14 23 Westland .. .. .. .. .. .... Totals .. .. ... ..77 107 207 E. —Return showing the Number of Deeds remaining unregistered on the 31st March, 1936 ; the Number received for Registration and the Number registered during the. Year ended 31st March, 1937 ; also the Number remaining on that Date, and the Amount of Fees collected during the same Period. Received Unrecorded Recorded Unrecorded District - 31st March, urin § * he , \ theTame 31st°Mar c h, | Fees - "»«• STEg Period. 1937. | 1937. I L £ s. d;. Auckland .. .. .', [ 62 1,676 1,671 56 1,575 18 3 Taranaki .. .. .... 9 7 2 7 19 6 Wellington .. ..... .. 1 1 • • 4 12 0 Hawke's Bay .. Gisborne .. .. ' .. j .. 2 , 2 .. 1 12 0 Nelson .. .. ... 2 25 26 1 24 4 6 Marlborough Canterbury .. .. .... 4 2 2 0 9 0 Otago .. .. .. 63 544 544 60 560 9 3 Southland .. . • • • 2 19 0 Westland .. .... .. 2 2 .. 2 0 0 Totals .. .. 127 2,263 2,255 121 2,180 3 6 J I Approximate Cost of Paper. —Preparation, not given ; printing (459 copies), £7. By Authority : G. H. Loney, Government Printer, Wellington.—1937. Price 3d.]

D.—Return showing Arrears in the Land Transfer Department on the 31st March, 1937» Applications Applications Applications Unregistered Unregistered Applicationsawaiting detained ,. ,i Instruments Instruments Certificates received „. , . . Compliance for ! m ®^ 10 awaiting detained of previous to District. with Examination j ■ Vh P Compliance in the Title due but Current Requisi- in the M th with Survey not issued. Month not tions. Survey Office. and °" t y et Requisitions. Office. yet passed. passed. . - Auckland .. , 12 .. 2 108 126 137 Taranaki ..!.. .. .. 3 3 3 Wellington .. i .. .. 73 151 88 Hawke's Bay .. \ .. .. 44 12 20 Gisborne .. i 1 .. .. 1 •• 1 Nelson ..:'.. .. 1 16 .. 8 Marlborough .. .. .. .. 6 .. 6 Canterbury .. 1 .. .. 44 5 9 1 Otago 1 .. .. 27 1 31 Southland .... .. .. 9 .. 36 Westland .. ! .. .. ... 18 23 21 : I I Totals .. j 15 .. 3 349 321 360 1 j j ; , ! I Other Instruments unrecorded. District. Transfers. Mortgages. Miscellaneous. Auckland .. .. .. .. .... Taranaki .. .. .. . . .. .. 1 1 13 Wellington .. .. ..9 6 37 Hawke's Bay .. .. .. .. ..15 55 11 Gisborne .." .. .. .. .. .. 4 2 5 Nelson .. .. .. ;.. .. ..12 10 30 Marlborough .. .. ... ., Canterbury .. .. .. .. -.21 15 75 Otago .. .. .. .. .. -.2 4 13 Southland 13 14 23 Westland .. .. .. .. .. .... Totals .. .. ... ..77 107 207 E.—Return showing the Number of Deeds remaining unregistered on the 31st March, 1936 ; the Number received for Registration and the Number registered during the. Year ended 31st March, 1937 ; also the Number remaining on that Date, and the Amount of Fees collected during the same Period. Received Unrecorded Recorded Unrecorded District - 31st March, urin § * he , \ theTame 31st°Mar c h, | Fees - "»«• STEg Period. 1937. | 1937. I L £ s. d;. Auckland .. .. .', [ 62 1,676 1,671 56 1,575 18 3 Taranaki .. .. .... 9 7 2 7 19 6 Wellington .. ..... .. 1 1 • • 4 12 0 Hawke's Bay .. Gisborne .. .. ' .. j .. 2 , 2 .. 1 12 0 Nelson .. .. ... 2 25 26 1 24 4 6 Marlborough Canterbury .. .. .... 4 2 2 0 9 0 Otago .. .. .. 63 544 544 60 560 9 3 Southland .. . • • • 2 19 0 Westland .. .... .. 2 2 .. 2 0 0 Totals .. .. 127 2,263 2,255 121 2,180 3 6 J I Approximate Cost of Paper. —Preparation, not given ; printing (459 copies), £7. By Authority : G. H. Loney, Government Printer, Wellington.—1937. Price 3d.]

This report text was automatically generated and may include errors. View the full page to see report in its original form.I whakaputaina aunoatia ēnei kuputuhi pūrongo, e kitea ai pea ētahi hapa i roto. Tirohia te whārangi katoa kia kitea te āhuatanga taketake o te pūrongo.
Permanent link to this item
Hononga pūmau ki tēnei tūemi

https://paperspast.natlib.govt.nz/parliamentary/AJHR1937-I.2.3.2.3

Bibliographic details
Ngā taipitopito pukapuka

LAND TRANSFER AND DEEDS REGISTRATION. ANNUAL REPORT OF DEPARTMENT, 1936-37., Appendix to the Journals of the House of Representatives, 1937 Session I, H-03

Word count
Tapeke kupu
2,158

LAND TRANSFER AND DEEDS REGISTRATION. ANNUAL REPORT OF DEPARTMENT, 1936-37. Appendix to the Journals of the House of Representatives, 1937 Session I, H-03

LAND TRANSFER AND DEEDS REGISTRATION. ANNUAL REPORT OF DEPARTMENT, 1936-37. Appendix to the Journals of the House of Representatives, 1937 Session I, H-03

Log in or create a Papers Past website account

Use your Papers Past website account to correct newspaper text.

By creating and using this account you agree to our terms of use.

Log in with RealMe®

If you’ve used a RealMe login somewhere else, you can use it here too. If you don’t already have a username and password, just click Log in and you can choose to create one.


Log in again to continue your work

Your session has expired.

Log in again with RealMe®


Alert