Page image
Page image

H.—3.

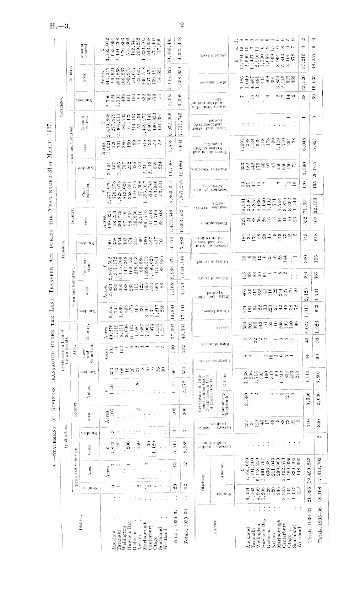
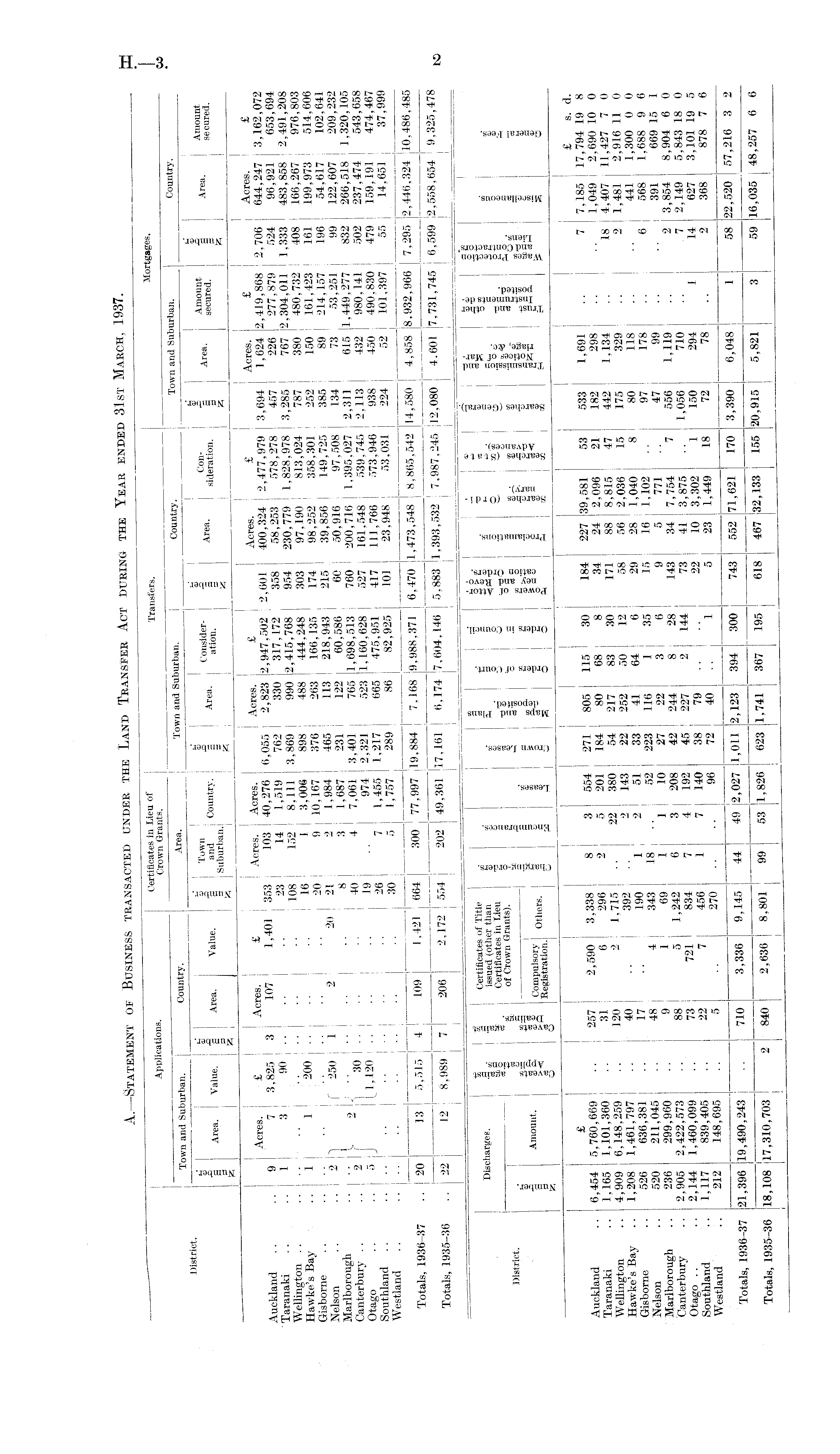
A.-Statement of Business transacted under the Land Transfer Act during the Year ended 31st March, 1937.

2

—— — Certificates in Lieu of Transfers. Mortgages. Applications. Crown Grants. ; r Town and Suburban. Country. Town and Suburban. Country Town and Suburban. Country. - • . j ; 1 Area Value J Area. Value. | 'and" I Country. f i Area, j C °™T % Area ' dderaSon. j 1 — • j | g § a Suburban. | 5 11 ê ■ I fc 15 5 „ L_ ' — — — ? j j 1 a Ap rp c £ Acres. £ I Acres. £ Acres. £ Acres. £ j | Acres. Acres. I cr ®®' „ 9 004 •> 477 979 3 694 1,624 2,419,868 2,706 644,247 3,162,072 Auckland .. .. 9 7 3.825 3 107 1,401 353 103 40,2 6 6,055 j 2,823 2,947,502 , 2,801 400,324 2,477,979 653,694 Taranaki .. ..1 3 90 •• •• «'ill 869 i 990 2 415 768 954 230,779 1,828,978 3,285 767 2,304,011 1,333 483,858 2,491,208 Wellington ■ : 1( * 1{ ® 8,111 3,869 890 2,415,7» g^m m , m 4O8 166,267 976,803 Hawke's Bay ..1 1 200 .. •• '6 1 .>7« I ->(j3 166 135 174 98,252 358,301 252 150 161,423 161 199,973 514,606 Gisborne 0 " j S I TqbI 465 113 218 943 215 39 856 149,725 385 89 214,157 196 54,617 102,641 Nelson .. -.2 1 f 250 1 2 20 21 2 1,984 465 113 .18,9« 90 122>607 209,232 Marlborough .. ■■ I 9 J •• | ' 7 'obi 3 401 765 1 698 513 760 200,716 1,395,027 2,31] 615 1,449,277 832 266,518 1,320,105 Canterbury .. 2 { 1 30 .. j ■ ■ • • fo 4 7 '2?! o'321 523 1 160 628 527 161 548 539 745 2,113 432 980,141 502 237,474 543,658 Otago .. .. 5 J LI,120 .. ■■ 19 •• f* 2,321 o23 I,lb0,b28 > 938 450 490,830 479 159,191 474,467 Southland % I }'«* J '^ 7 82! 925 101 224 52 101,397 55 14,651 37,999 Westland .. .... .. ■ • ! • ■ ■ • • • '" ' Totals 1936—37 10" 109~ 1,421 664 300 j 77,997 19,884 7.168 9,988,371 6,470 1,473,548 8,865,542 14,580 4,858 8.932,966 7,295 2,446,324 10,486,485 1935-36 12 7 ~ T 6,174 7,604,146 5,883 1,393,532 | 7,987,245 12,080 4.601 7.731,745 6,599,2,558,654 9,325,478 ' I i I 1 ' ! ' . , ' fe = ;£ I —' i ® • — * £ a S is -S .£0 9 s Certificates of Title « 3 -g § 3 g g „• ■? « £ "X «4$ €§ „• Discharges. .s issued (other than §3 o » P-t 2 3 ■«jjPh'C s £>'*>' S'S • S +■» *i 2 ® |g § Certificates in Lieu Eg S 5 8 Z-aS ê ° ■ S 1 S '§££ % S« | £ 1 §, of Crown Grants). ? g $ ® <5 c ©« g M * i ® « «g]§ § ~ "nietript J? 2J- M «8 53 ° S3 ® O 2 56 2 S "=< ® i3."t3co_lC S f 5 District. • — a -2 • c x t« 2 .2 cs g» -g 33 o£? 9 1 Amou,lt !- 1« sssssss. ~ II I 3 I I 8 I i ! fio s r r! I r* r ft s s Is Q O I L__ 7— " • Auckland .. 6,454 5,760,669 .. 257 2,590 3,338 8 3 554 271 805 115 30 184 227 39,581 o3 533 1,691 .. | JQ Q Taranaki .. 1,165 1,101,360 .. 31 6 296 2 5 201 184 80 68 8 442 lg 4>407 ? () Wellington .. 4,909 6,148,259 .. 120 2 1,715 .. 22 380 54 217 83 175 329 .. 2 1,481 2,916 11 0 Hawke's Bay .. 1,208 1,461,797 .. 40 .. 392 2 143 22 252 oO 12 5« u8 .. 441 x> 3oo 0 0 Gisborne .. 526 636,381 .. 17 •• 190 i | „ „„„ ,, 35 j5 16 1,102 .. 97 178 . . 6 568 1,688 9 6 Nelson .. 520 211,045 .. 48 4 343 18 .. 52 223 lib 1 35 10 4V 99 .. .. 391 669 15 1 Marlborough .. 236 299,960 .. 9 1 69 1 1 10 // zz _ 56 g 2 3,854 8,904 6 0 Canterbury .. 2,905 2,422,573 .. 88 5 1,242 6 3 208 42 244 8 -8 143 i g6 710 .. 7 2 , 14 9 5,843 18 0 Otago.. .. 2,144 1,460,099 .. 73 721 834 7 4 19- 45 227 , 150 294 1 14 627 3,101 19 5 s w:llnd d :: 1 .. 7 « • " S :: i 5 23 i:«9 878 7 !L Totals 1936-37 21,396 19.490.M~7 9,145 44 49 2,027 1,011 2,123 394 300 743 552 71,621 3,390 6,048 57.2 16 3 2 Totals, 1935-36 2 840 99~ 53 1,826 623 1,741 367 195 618 467 32,133 155 20,915 5,821 3 59 16,035 | 48,257 6 6

Log in or create a Papers Past website account

Use your Papers Past website account to correct newspaper text.

By creating and using this account you agree to our terms of use.

Log in with RealMe®

If you’ve used a RealMe login somewhere else, you can use it here too. If you don’t already have a username and password, just click Log in and you can choose to create one.


Log in again to continue your work

Your session has expired.

Log in again with RealMe®


Alert